1289 Off High St, Block Island, RI
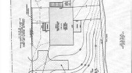
Great Opportunity! Beautiful Sunset Hill lot, off on a private lane, this 7,200 square foot lot is in the RC zone, easy walk to Old Harbor and Beaches. There are beautiful views of Coast Guard Station to northwest and Clayhead to northeast, ideal to watch the ferries come and go! All approvals and building permit issued for the included house plans for a 1728 sq ft house, permit exp 12/2025, but renewal possible, or build your own plan with new zoning laws allowing more coverage on smaller lots of record, current plan has flexibility for interior layout. Includes survey and Town Water and Sewer connections approved for by the Seller. No septic/well hassles, this is truly ready to build!
MLS #
Status:
Type:
Neighborhood:
Site Acres:
Utilities:
Water Supply:
Subject To:
Development Status:
Waterfront Features:
Lot:
Lot Sq. Footage:
Zoning:
Assessed Value:
Real Estate Taxes:
Real Estate Tax Year:
Assessor Lot:
Assessor Plat:
Listed By:
Previous Property
« 0 Lot 256-1 High St
* Copyright 2015-2026 Statewide MLS. All rights reserved. Information deemed reliable but is not guaranteed. The data relating to real estate for sale on this web site comes in part from the Internet Data Exchange Program of Statewide MLS. Real estate listings held by brokerage firms other than the owner of this page include the name of the listing broker. Information provided is for consumer's personal, non-commercial use and may not be used for any purpose other than to identify prospective properties consumers may be interested in purchasing. This site will be monitored for 'scraping' and any use of search facilities of data on the site other than by a consumer looking to purchase real estate is prohibited. Listing broker has attempted to offer accurate data, but buyers are advised to confirm all items. Information last updated on Jan 17, 2026.
